
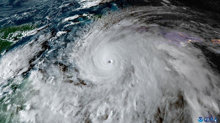
Tragedi Banjir di Haiti Akibat Badai Melissa
Badai Melissa yang melanda Haiti telah menyebabkan banjir dahsyat yang menewaskan setidaknya 20 orang dan membuat 10 lainnya hilang. Petugas tanggap darurat sedang gencar melakukan pencarian korban hilang diwilayah yang terkena dampak banjir.
Korban anak-anak dan Dampak Memprihatinkan
Sepuluh dari korban yang tewas adalah anak-anak, demikian laporan dari AFP pada Kamis (30/10/2025). Emmanuel Pierre, kepala badan pertahanan sipil di negara tersebut, mengonfirmasi bahwa banjir sungai di wilayah selatan menjadi penyebab utama kejadian ini.
Banjir Sungai Digue juga menghancurkan beberapa rumah di kota pesisir Petit-Goave. Warga Steeve Louissaint memberikan keterangan, “Banyak orang tewas, rumah-rumah tersapu air.”
Penutup
Tragedi ini menegaskan pentingnya upaya mitigasi bencana dan penanganan darurat yang lebih efektif di masa depan. Dengan kerugian nyata yang dialami, Haiti memerlukan bantuan internasional untuk pulih dari bencana ini.











